Power Bales Logo
  • Home
  • Nosotros
    • Quienes Somos
    • Staff
  • Marcas
  • Agroinsumos
    • Semillas
    • Fertilizantes
    • Bioestimulantes
    • Inoculantes
    • Biológicos
  • Novedades
  • Contacto
Acceso Clientes

Novedades

  • Home
  • Novedades

Últimas Noticias

Te mostramos algunas de las noticias más relevantes del sector.

Blog Images

Mercados

¿Qué espera Enrique Erize de la campaña “revancha” post-sequía?

Leer Más
Blog Images

Mercados

El futuro del sorgo en el Congreso Maizar 2023

Leer Más
Blog Images

Agricultura

Brechas de rendimieno en sorgo

Leer Más
Blog Images

Podcast

Cuales son los beneficios de la cobertura?

Leer Más
Blog Images

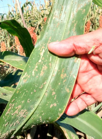
Plaga

Pulgón de la Caña de Azúcar

Leer Más
Blog Images

Agricultura

Uso de desecantes en sorgo granífero

Leer Más
Blog Images

Agricultura

Decisiones sobre la siembra en sorgo

Leer Más
Blog Images

Tecnología

Advanta presentó su Sorgo Aphix

Leer Más
Blog Images

Podcast

Ampliando la frontera del maíz

Leer Más
  • 1
  • 2
  • 3
Logo images

Copyright © 2022 Power Bales. Todos los derechos reservados.